NOAA images | 2025-05-03

Page generated: Sat May 3 11:41:33 PM CEST 2025
Software version: 0.1.6-12-g1ceb5fd

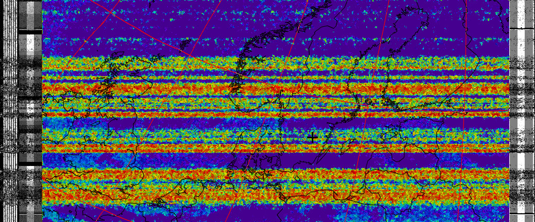
NOAA 18 | Sat May 3 03:12:21 PM CEST 2025

f=137912500Hz, peak: 14°, duration: 735s

MCIR-precip HVC MSA therm HVCT-precip NO spectrogram

NOAA 15 | Sat May 3 05:45:09 PM CEST 2025

f=137620000Hz, peak: 28°, duration: 828s

MCIR-precip HVC MSA therm HVCT-precip NO spectrogram

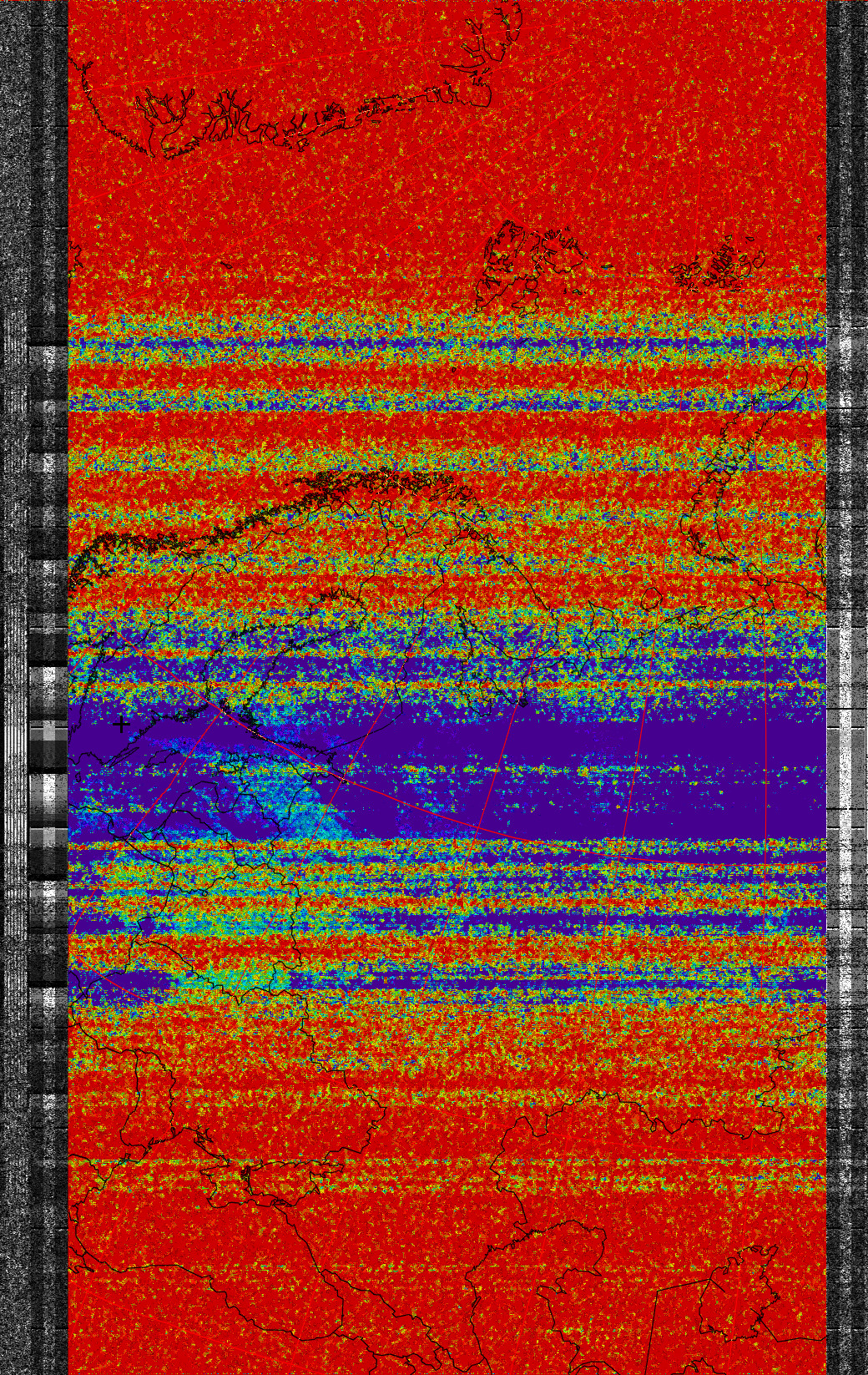
NOAA 15 | Sat May 3 07:23:58 PM CEST 2025

f=137620000Hz, peak: 72°, duration: 898s

MCIR-precip HVC MSA therm HVCT-precip NO spectrogram

NOAA 19 | Sat May 3 08:05:33 PM CEST 2025

f=137100000Hz, peak: 26°, duration: 825s

MCIR-precip HVC MSA therm HVCT-precip NO spectrogram

NOAA 15 | Sat May 3 09:05:46 PM CEST 2025

f=137620000Hz, peak: 15°, duration: 757s

MCIR-precip HVC MSA therm HVCT-precip NO spectrogram

NOAA 19 | Sat May 3 09:44:45 PM CEST 2025

f=137100000Hz, peak: 83°, duration: 924s

MCIR-precip HVC MSA therm HVCT-precip NO spectrogram

NOAA 18 | Sat May 3 11:25:42 PM CEST 2025

f=137912500Hz, peak: 48°, duration: 922s

MCIR-precip HVC MSA therm HVCT-precip NO spectrogram