NOAA images | 2025-04-08

Page generated: Tue Apr 8 11:55:17 PM CEST 2025
Software version: 0.1.6-12-g1ceb5fd

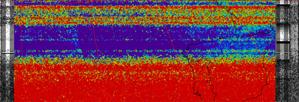
NOAA 18 | Tue Apr 8 12:07:55 AM CEST 2025

f=137912500Hz, peak: 30°, duration: 352s

MCIR-precip HVC MSA therm HVCT-precip NO spectrogram

NOAA 15 | Tue Apr 8 07:09:15 AM CEST 2025

f=137620000Hz, peak: 17°, duration: 773s

MCIR-precip HVC MSA therm HVCT-precip NO spectrogram

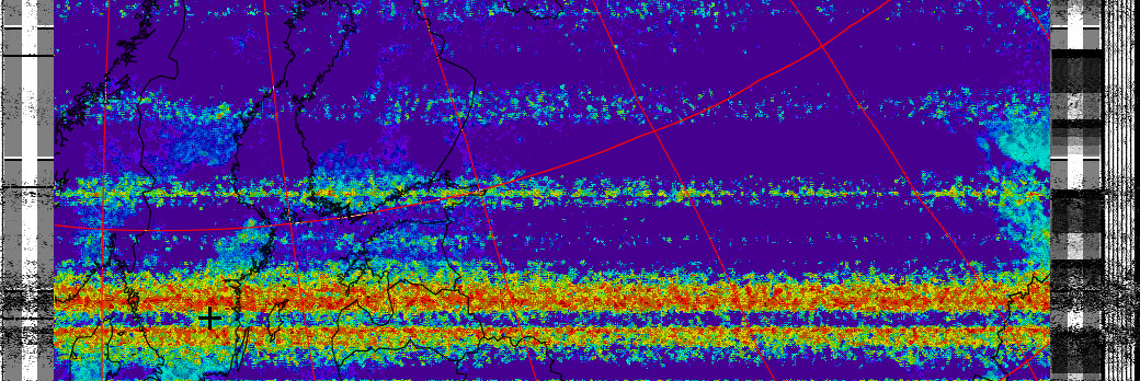
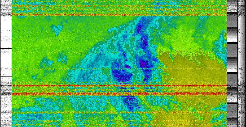
NOAA 15 | Tue Apr 8 08:48:51 AM CEST 2025

f=137620000Hz, peak: 78°, duration: 894s

MCIR-precip HVC MSA therm HVCT-precip NO spectrogram

NOAA 19 | Tue Apr 8 10:24:02 AM CEST 2025

f=137100000Hz, peak: 33°, duration: 886s

MCIR-precip HVC MSA therm HVCT-precip NO spectrogram

NOAA 15 | Tue Apr 8 10:39:28 AM CEST 2025

f=137620000Hz, peak: 26°, duration: 178s

MCIR-precip HVC MSA therm HVCT-precip NO spectrogram

NOAA 18 | Tue Apr 8 10:42:53 AM CEST 2025

f=137912500Hz, peak: 15°, duration: 26s

MCIR-precip HVC MSA therm HVCT-precip NO spectrogram

NOAA 19 | Tue Apr 8 12:04:47 PM CEST 2025

f=137100000Hz, peak: 58°, duration: 910s

MCIR-precip HVC MSA therm HVCT-precip NO spectrogram

NOAA 18 | Tue Apr 8 12:20:39 PM CEST 2025

f=137912500Hz, peak: 65°, duration: 332s

MCIR-precip HVC MSA therm HVCT-precip NO spectrogram

NOAA 19 | Tue Apr 8 01:45:38 PM CEST 2025

f=137100000Hz, peak: 18°, duration: 772s

MCIR-precip HVC MSA therm HVCT-precip NO spectrogram

NOAA 18 | Tue Apr 8 01:59:14 PM CEST 2025

f=137912500Hz, peak: 33°, duration: 412s

MCIR-precip HVC MSA therm HVCT-precip NO spectrogram

NOAA 18 | Tue Apr 8 03:32:12 PM CEST 2025

f=137912500Hz, peak: 11°, duration: 687s

MCIR-precip HVC MSA therm HVCT-precip NO spectrogram

NOAA 15 | Tue Apr 8 04:59:51 PM CEST 2025

f=137620000Hz, peak: 17°, duration: 748s

MCIR-precip HVC MSA therm HVCT-precip NO spectrogram

NOAA 15 | Tue Apr 8 06:37:30 PM CEST 2025

f=137620000Hz, peak: 57°, duration: 887s

MCIR-precip HVC MSA therm HVCT-precip NO spectrogram

NOAA 15 | Tue Apr 8 08:17:46 PM CEST 2025

f=137620000Hz, peak: 32°, duration: 861s

MCIR-precip HVC MSA therm HVCT-precip NO spectrogram

NOAA 19 | Tue Apr 8 08:32:47 PM CEST 2025

f=137100000Hz, peak: 32°, duration: 42s

MCIR-precip HVC MSA therm HVCT-precip NO spectrogram

NOAA 18 | Tue Apr 8 08:33:53 PM CEST 2025

f=137912500Hz, peak: 17°, duration: 333s

MCIR-precip HVC MSA therm HVCT-precip NO spectrogram

NOAA 19 | Tue Apr 8 09:58:50 PM CEST 2025

f=137100000Hz, peak: 67°, duration: 929s

MCIR-precip HVC MSA therm HVCT-precip NO spectrogram

NOAA 18 | Tue Apr 8 10:14:59 PM CEST 2025

f=137912500Hz, peak: 55°, duration: 311s

MCIR-precip HVC MSA therm HVCT-precip NO spectrogram

NOAA 19 | Tue Apr 8 11:41:46 PM CEST 2025

f=137100000Hz, peak: 15°, duration: 784s

MCIR-precip HVC MSA therm HVCT-precip NO spectrogram