NOAA images | 2025-04-05

Page generated: Sat Apr 5 10:59:08 PM CEST 2025
Software version: 0.1.6-12-g1ceb5fd

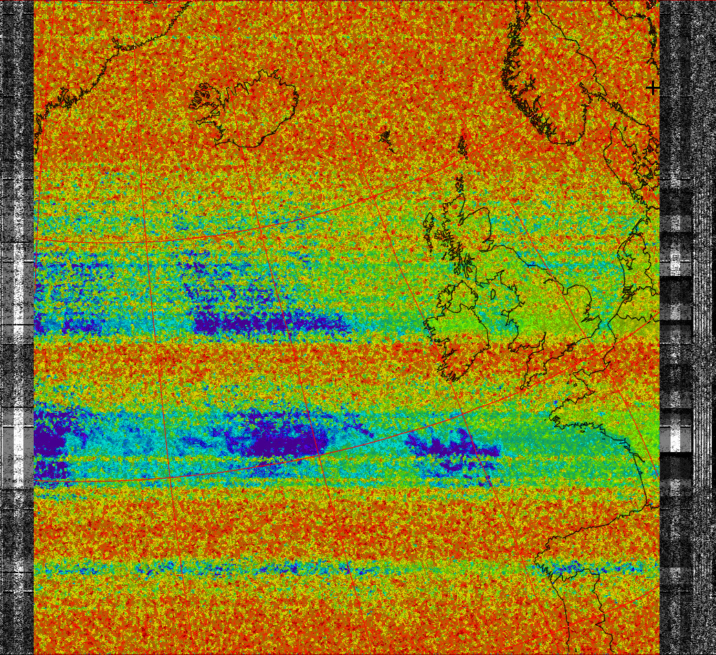
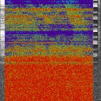
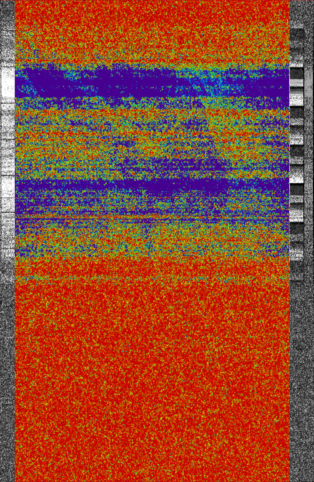
NOAA 18 | Sat Apr 5 12:38:55 AM CEST 2025

f=137912500Hz, peak: 17°, duration: 798s

MCIR-precip HVC MSA therm HVCT-precip NO spectrogram

NOAA 15 | Sat Apr 5 06:47:51 AM CEST 2025

f=137620000Hz, peak: 12°, duration: 706s

MCIR-precip HVC MSA therm HVCT-precip NO spectrogram

NOAA 15 | Sat Apr 5 08:26:58 AM CEST 2025

f=137620000Hz, peak: 56°, duration: 907s

MCIR-precip HVC MSA therm HVCT-precip NO spectrogram

NOAA 19 | Sat Apr 5 09:21:34 AM CEST 2025

f=137100000Hz, peak: 13°, duration: 745s

MCIR-precip HVC MSA therm HVCT-precip NO spectrogram

NOAA 15 | Sat Apr 5 10:07:12 AM CEST 2025

f=137620000Hz, peak: 35°, duration: 846s

MCIR-precip HVC MSA therm HVCT-precip NO spectrogram

NOAA 19 | Sat Apr 5 11:01:54 AM CEST 2025

f=137100000Hz, peak: 59°, duration: 923s

MCIR-precip HVC MSA therm HVCT-precip NO spectrogram

NOAA 18 | Sat Apr 5 11:18:00 AM CEST 2025

f=137912500Hz, peak: 26°, duration: 298s

MCIR-precip HVC MSA therm HVCT-precip NO spectrogram

NOAA 15 | Sat Apr 5 11:47:05 AM CEST 2025

f=137620000Hz, peak: 11°, duration: 667s

MCIR-precip HVC MSA therm HVCT-precip NO spectrogram

NOAA 19 | Sat Apr 5 12:42:48 PM CEST 2025

f=137100000Hz, peak: 35°, duration: 872s

MCIR-precip HVC MSA therm HVCT-precip NO spectrogram

NOAA 18 | Sat Apr 5 12:58:07 PM CEST 2025

f=137912500Hz, peak: 74°, duration: 401s

MCIR-precip HVC MSA therm HVCT-precip NO spectrogram

NOAA 19 | Sat Apr 5 02:23:28 PM CEST 2025

f=137100000Hz, peak: 12°, duration: 701s

MCIR-precip HVC MSA therm HVCT-precip NO spectrogram

NOAA 18 | Sat Apr 5 02:35:49 PM CEST 2025

f=137912500Hz, peak: 21°, duration: 477s

MCIR-precip HVC MSA therm HVCT-precip NO spectrogram

NOAA 15 | Sat Apr 5 04:38:59 PM CEST 2025

f=137620000Hz, peak: 13°, duration: 704s

MCIR-precip HVC MSA therm HVCT-precip NO spectrogram

NOAA 15 | Sat Apr 5 06:16:11 PM CEST 2025

f=137620000Hz, peak: 42°, duration: 868s

MCIR-precip HVC MSA therm HVCT-precip NO spectrogram

NOAA 19 | Sat Apr 5 07:17:52 PM CEST 2025

f=137100000Hz, peak: 16°, duration: 768s

MCIR-precip HVC MSA therm HVCT-precip NO spectrogram

NOAA 15 | Sat Apr 5 07:55:50 PM CEST 2025

f=137620000Hz, peak: 45°, duration: 884s

MCIR-precip HVC MSA therm HVCT-precip NO spectrogram

NOAA 19 | Sat Apr 5 08:56:15 PM CEST 2025

f=137100000Hz, peak: 52°, duration: 913s

MCIR-precip HVC MSA therm HVCT-precip NO spectrogram

NOAA 18 | Sat Apr 5 09:12:15 PM CEST 2025

f=137912500Hz, peak: 25°, duration: 343s

MCIR-precip HVC MSA therm HVCT-precip NO spectrogram

NOAA 19 | Sat Apr 5 10:37:10 PM CEST 2025

f=137100000Hz, peak: 38°, duration: 904s

MCIR-precip HVC MSA therm HVCT-precip NO spectrogram

NOAA 18 | Sat Apr 5 10:52:54 PM CEST 2025

f=137912500Hz, peak: 87°, duration: 356s

MCIR-precip HVC MSA therm HVCT-precip NO spectrogram