NOAA images | 2025-03-29

Page generated: Sat Mar 29 11:29:13 PM CET 2025
Software version: 0.1.6-12-g1ceb5fd

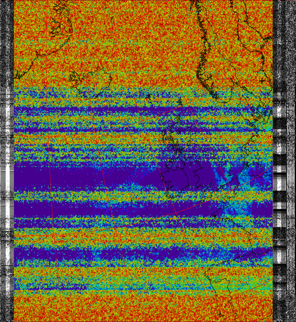
NOAA 15 | Sat Mar 29 07:10:05 AM CET 2025

f=137620000Hz, peak: 43°, duration: 879s

MCIR-precip HVC MSA therm HVCT-precip NO spectrogram

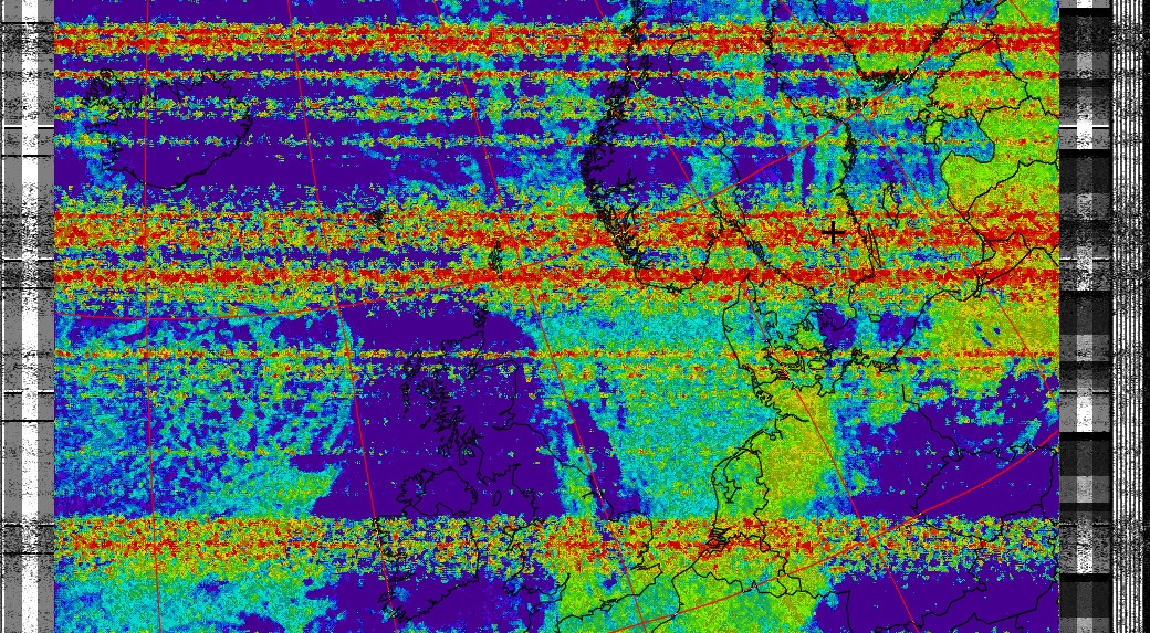
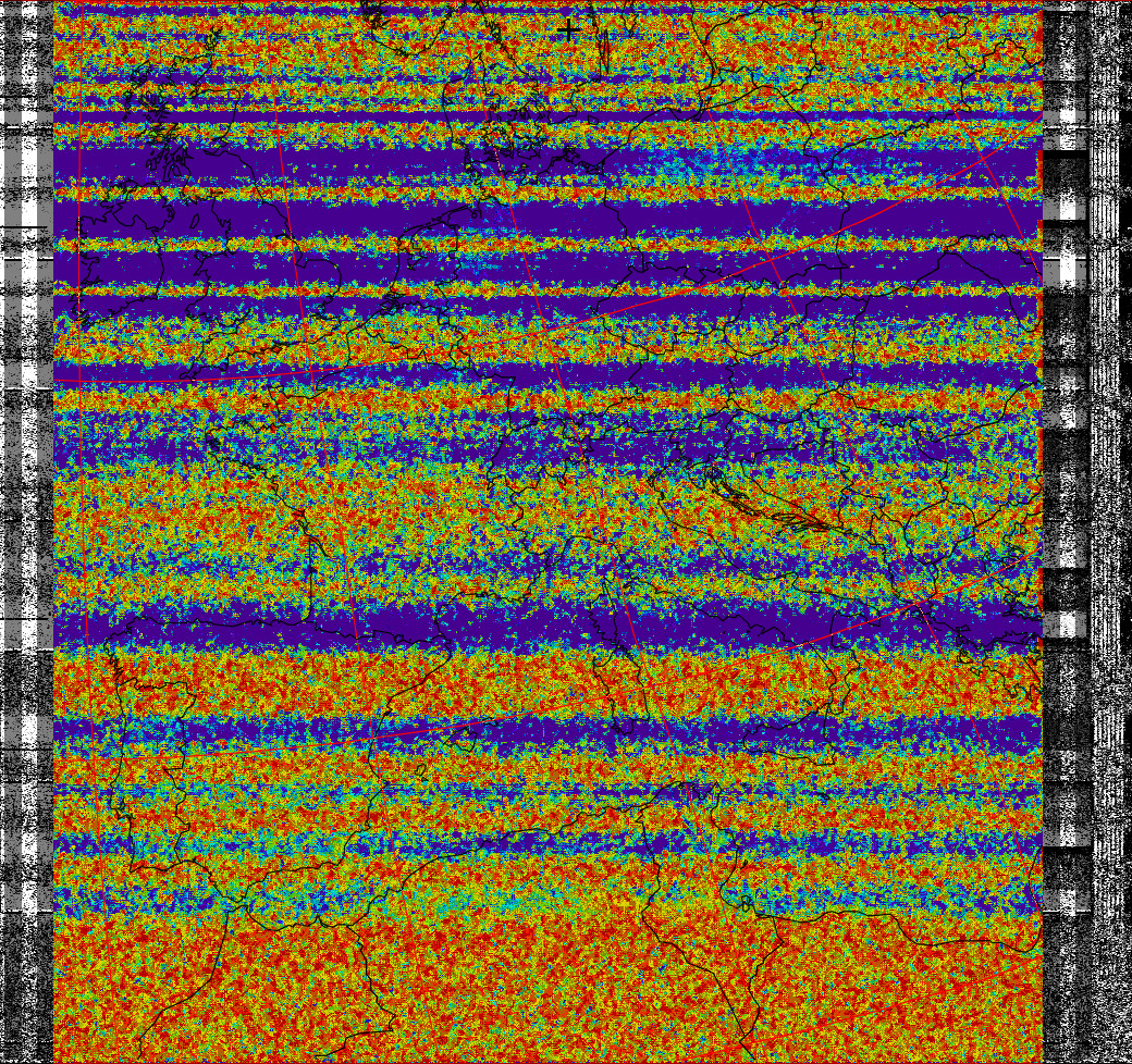
NOAA 19 | Sat Mar 29 08:09:23 AM CET 2025

f=137100000Hz, peak: 10°, duration: 706s

MCIR-precip HVC MSA therm HVCT-precip NO spectrogram

NOAA 15 | Sat Mar 29 08:50:00 AM CET 2025

f=137620000Hz, peak: 44°, duration: 868s

MCIR-precip HVC MSA therm HVCT-precip NO spectrogram

NOAA 19 | Sat Mar 29 09:49:35 AM CET 2025

f=137100000Hz, peak: 49°, duration: 916s

MCIR-precip HVC MSA therm HVCT-precip NO spectrogram

NOAA 18 | Sat Mar 29 10:05:32 AM CET 2025

f=137912500Hz, peak: 22°, duration: 396s

MCIR-precip HVC MSA therm HVCT-precip NO spectrogram

NOAA 15 | Sat Mar 29 10:29:55 AM CET 2025

f=137620000Hz, peak: 13°, duration: 708s

MCIR-precip HVC MSA therm HVCT-precip NO spectrogram

NOAA 19 | Sat Mar 29 11:30:28 AM CET 2025

f=137100000Hz, peak: 41°, duration: 889s

MCIR-precip HVC MSA therm HVCT-precip NO spectrogram

NOAA 18 | Sat Mar 29 11:46:00 AM CET 2025

f=137912500Hz, peak: 85°, duration: 490s

MCIR-precip HVC MSA therm HVCT-precip NO spectrogram

NOAA 19 | Sat Mar 29 01:11:10 PM CET 2025

f=137100000Hz, peak: 14°, duration: 729s

MCIR-precip HVC MSA therm HVCT-precip NO spectrogram

NOAA 18 | Sat Mar 29 01:24:00 PM CET 2025

f=137912500Hz, peak: 24°, duration: 565s

MCIR-precip HVC MSA therm HVCT-precip NO spectrogram

NOAA 15 | Sat Mar 29 03:22:28 PM CET 2025

f=137620000Hz, peak: 11°, duration: 668s

MCIR-precip HVC MSA therm HVCT-precip NO spectrogram

NOAA 15 | Sat Mar 29 04:59:18 PM CET 2025

f=137620000Hz, peak: 34°, duration: 851s

MCIR-precip HVC MSA therm HVCT-precip NO spectrogram

NOAA 19 | Sat Mar 29 06:05:57 PM CET 2025

f=137100000Hz, peak: 15°, duration: 748s

MCIR-precip HVC MSA therm HVCT-precip NO spectrogram

NOAA 15 | Sat Mar 29 06:38:28 PM CET 2025

f=137620000Hz, peak: 59°, duration: 906s

MCIR-precip HVC MSA therm HVCT-precip NO spectrogram

NOAA 19 | Sat Mar 29 07:44:05 PM CET 2025

f=137100000Hz, peak: 45°, duration: 902s

MCIR-precip HVC MSA therm HVCT-precip NO spectrogram

NOAA 18 | Sat Mar 29 07:59:46 PM CET 2025

f=137912500Hz, peak: 23°, duration: 452s

MCIR-precip HVC MSA therm HVCT-precip NO spectrogram

NOAA 15 | Sat Mar 29 08:20:46 PM CET 2025

f=137620000Hz, peak: 13°, duration: 727s

MCIR-precip HVC MSA therm HVCT-precip NO spectrogram

NOAA 19 | Sat Mar 29 09:24:39 PM CET 2025

f=137100000Hz, peak: 45°, duration: 919s

MCIR-precip HVC MSA therm HVCT-precip NO spectrogram

NOAA 18 | Sat Mar 29 09:40:43 PM CET 2025

f=137912500Hz, peak: 80°, duration: 445s

MCIR-precip HVC MSA therm HVCT-precip NO spectrogram

NOAA 18 | Sat Mar 29 11:14:35 PM CET 2025

f=137912500Hz, peak: 24°, duration: 851s

MCIR-precip HVC MSA therm HVCT-precip NO spectrogram