NOAA images | 2025-03-18

Page generated: Tue Mar 18 11:56:41 PM CET 2025
Software version: 0.1.6-12-g1ceb5fd

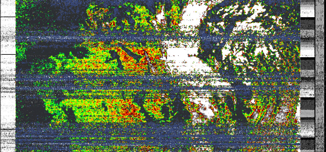
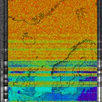
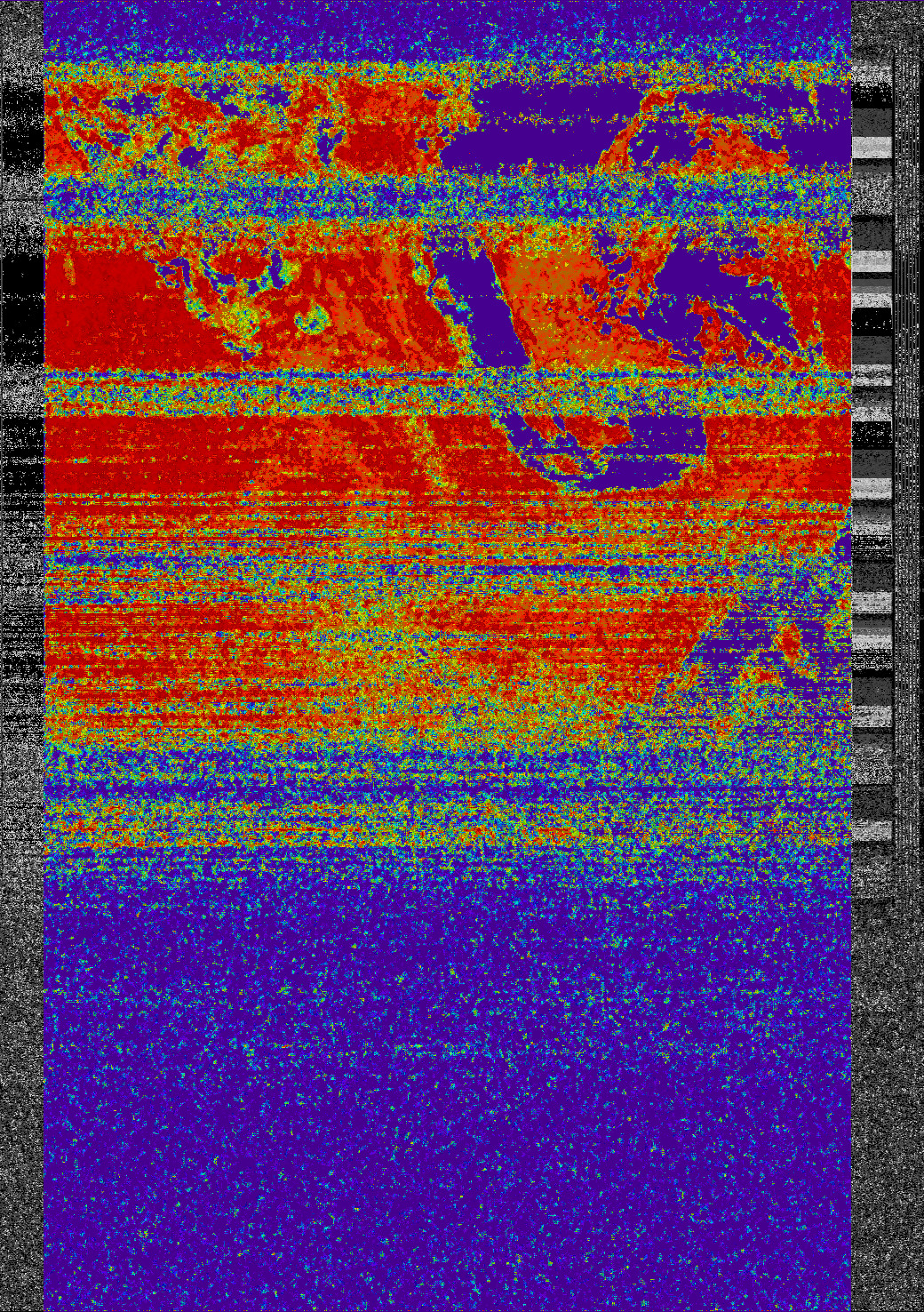
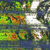
NOAA 18 | Tue Mar 18 12:10:26 AM CET 2025

f=137912500Hz, peak: 10°, duration: 683s

MCIR-precip HVC MSA therm HVCT-precip NO spectrogram

NOAA 15 | Tue Mar 18 06:57:17 AM CET 2025

f=137620000Hz, peak: 35°, duration: 867s

MCIR-precip HVC MSA therm HVCT-precip NO spectrogram

NOAA 15 | Tue Mar 18 08:37:09 AM CET 2025

f=137620000Hz, peak: 53°, duration: 881s

MCIR-precip HVC MSA therm HVCT-precip NO spectrogram

NOAA 19 | Tue Mar 18 08:52:32 AM CET 2025

f=137100000Hz, peak: 20°, duration: 506s

MCIR-precip HVC MSA therm HVCT-precip NO spectrogram

NOAA 15 | Tue Mar 18 10:17:07 AM CET 2025

f=137620000Hz, peak: 16°, duration: 737s

MCIR-precip HVC MSA therm HVCT-precip NO spectrogram

NOAA 19 | Tue Mar 18 10:30:05 AM CET 2025

f=137100000Hz, peak: 86°, duration: 797s

MCIR-precip HVC MSA therm HVCT-precip NO spectrogram

NOAA 18 | Tue Mar 18 10:44:04 AM CET 2025

f=137912500Hz, peak: 40°, duration: 587s

MCIR-precip HVC MSA therm HVCT-precip NO spectrogram

NOAA 19 | Tue Mar 18 12:08:56 PM CET 2025

f=137100000Hz, peak: 26°, duration: 824s

MCIR-precip HVC MSA therm HVCT-precip NO spectrogram

NOAA 18 | Tue Mar 18 12:23:41 PM CET 2025

f=137912500Hz, peak: 49°, duration: 650s

MCIR-precip HVC MSA therm HVCT-precip NO spectrogram

NOAA 18 | Tue Mar 18 02:00:14 PM CET 2025

f=137912500Hz, peak: 15°, duration: 755s

MCIR-precip HVC MSA therm HVCT-precip NO spectrogram

NOAA 15 | Tue Mar 18 04:46:47 PM CET 2025

f=137620000Hz, peak: 29°, duration: 832s

MCIR-precip HVC MSA therm HVCT-precip NO spectrogram

NOAA 15 | Tue Mar 18 06:25:37 PM CET 2025

f=137620000Hz, peak: 72°, duration: 900s

MCIR-precip HVC MSA therm HVCT-precip NO spectrogram

NOAA 19 | Tue Mar 18 06:42:32 PM CET 2025

f=137100000Hz, peak: 22°, duration: 841s

MCIR-precip HVC MSA therm HVCT-precip NO spectrogram

NOAA 18 | Tue Mar 18 06:57:26 PM CET 2025

f=137912500Hz, peak: 12°, duration: 592s

MCIR-precip HVC MSA therm HVCT-precip NO spectrogram

NOAA 15 | Tue Mar 18 08:07:25 PM CET 2025

f=137620000Hz, peak: 16°, duration: 761s

MCIR-precip HVC MSA therm HVCT-precip NO spectrogram

NOAA 19 | Tue Mar 18 08:21:32 PM CET 2025

f=137100000Hz, peak: 75°, duration: 950s

MCIR-precip HVC MSA therm HVCT-precip NO spectrogram

NOAA 18 | Tue Mar 18 08:38:07 PM CET 2025

f=137912500Hz, peak: 36°, duration: 594s

MCIR-precip HVC MSA therm HVCT-precip NO spectrogram

NOAA 19 | Tue Mar 18 10:03:35 PM CET 2025

f=137100000Hz, peak: 26°, duration: 862s

MCIR-precip HVC MSA therm HVCT-precip NO spectrogram

NOAA 18 | Tue Mar 18 10:18:39 PM CET 2025

f=137912500Hz, peak: 57°, duration: 612s

MCIR-precip HVC MSA therm HVCT-precip NO spectrogram

NOAA 18 | Tue Mar 18 11:56:35 PM CET 2025

f=137912500Hz, peak: 12°, duration: 755s

MCIR-precip HVC MSA therm HVCT-precip NO spectrogram