NOAA images | 2025-01-08

Page generated: Wed Jan 8 11:47:49 PM CET 2025
Software version: 0.1.6-12-g1ceb5fd

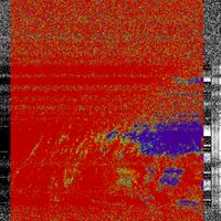
NOAA 15 | Wed Jan 8 06:56:03 AM CET 2025

f=137620000Hz, peak: 33°, duration: 856s

MCIR-precip HVC MSA therm HVCT-precip NO spectrogram

NOAA 19 | Wed Jan 8 08:09:31 AM CET 2025

f=137100000Hz, peak: 12°, duration: 728s

MCIR-precip HVC MSA therm HVCT-precip NO spectrogram

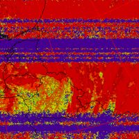
NOAA 15 | Wed Jan 8 08:35:53 AM CET 2025

f=137620000Hz, peak: 55°, duration: 879s

MCIR-precip HVC MSA therm HVCT-precip NO spectrogram

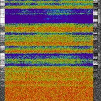
NOAA 19 | Wed Jan 8 09:49:31 AM CET 2025

f=137100000Hz, peak: 55°, duration: 935s

MCIR-precip HVC MSA therm HVCT-precip NO spectrogram

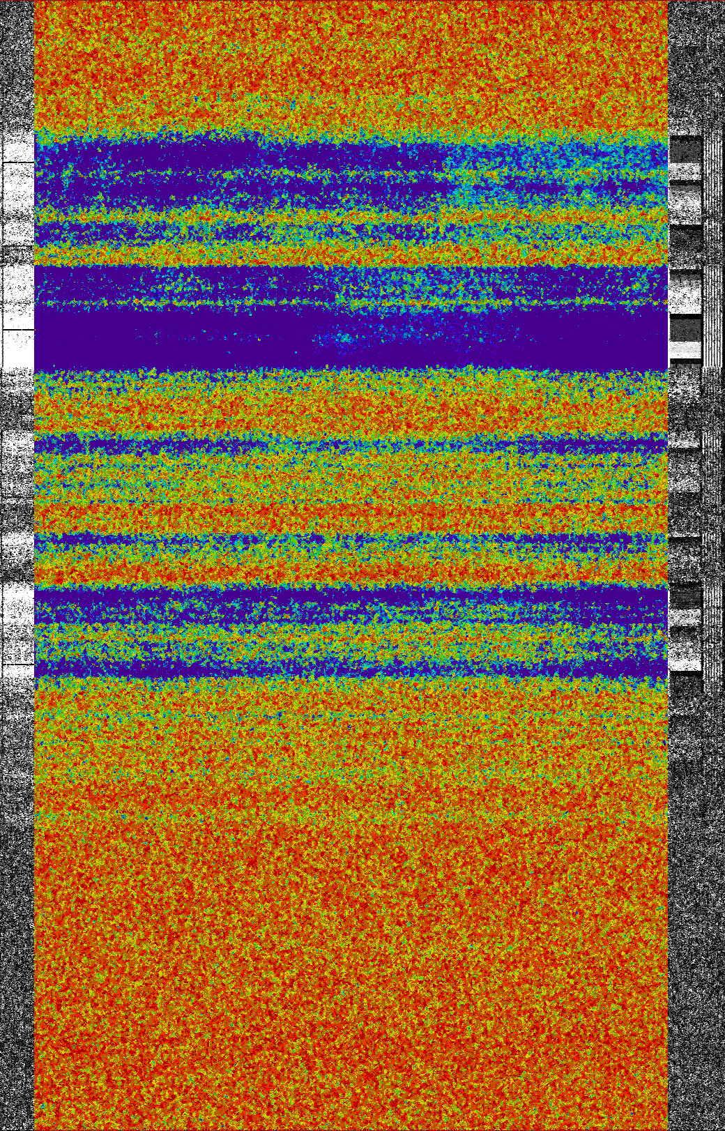
NOAA 15 | Wed Jan 8 10:18:11 AM CET 2025

f=137620000Hz, peak: 16°, duration: 607s

MCIR-precip HVC MSA therm HVCT-precip NO spectrogram

NOAA 18 | Wed Jan 8 10:28:55 AM CET 2025

f=137912500Hz, peak: 30°, duration: 135s

MCIR-precip HVC MSA therm HVCT-precip NO spectrogram

NOAA 19 | Wed Jan 8 11:44:07 AM CET 2025

f=137100000Hz, peak: 37°, duration: 81s

MCIR-precip HVC MSA therm HVCT-precip NO spectrogram

NOAA 18 | Wed Jan 8 11:57:18 AM CET 2025

f=137912500Hz, peak: 65°, duration: 918s

MCIR-precip HVC MSA therm HVCT-precip NO spectrogram

NOAA 19 | Wed Jan 8 01:17:15 PM CET 2025

f=137100000Hz, peak: 12°, duration: 365s

MCIR-precip HVC MSA therm HVCT-precip NO spectrogram

NOAA 18 | Wed Jan 8 01:38:22 PM CET 2025

f=137912500Hz, peak: 19°, duration: 780s

MCIR-precip HVC MSA therm HVCT-precip NO spectrogram

NOAA 15 | Wed Jan 8 04:45:42 PM CET 2025

f=137620000Hz, peak: 27°, duration: 819s

MCIR-precip HVC MSA therm HVCT-precip NO spectrogram

NOAA 19 | Wed Jan 8 06:06:03 PM CET 2025

f=137100000Hz, peak: 15°, duration: 748s

MCIR-precip HVC MSA therm HVCT-precip NO spectrogram

NOAA 15 | Wed Jan 8 06:24:26 PM CET 2025

f=137620000Hz, peak: 76°, duration: 894s

MCIR-precip HVC MSA therm HVCT-precip NO spectrogram

NOAA 18 | Wed Jan 8 06:40:03 PM CET 2025

f=137912500Hz, peak: 10°, duration: 317s

MCIR-precip HVC MSA therm HVCT-precip NO spectrogram

NOAA 19 | Wed Jan 8 09:24:56 PM CET 2025

f=137100000Hz, peak: 40°, duration: 917s

MCIR-precip HVC MSA therm HVCT-precip NO spectrogram

NOAA 18 | Wed Jan 8 09:51:14 PM CET 2025

f=137912500Hz, peak: 77°, duration: 934s

MCIR-precip HVC MSA therm HVCT-precip NO spectrogram

NOAA 18 | Wed Jan 8 11:33:48 PM CET 2025

f=137912500Hz, peak: 18°, duration: 812s

MCIR-precip HVC MSA therm HVCT-precip NO spectrogram