NOAA images | 2025-01-07

Page generated: Tue Jan 7 11:46:54 PM CET 2025
Software version: 0.1.6-12-g1ceb5fd

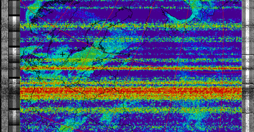
NOAA 18 | Tue Jan 7 12:00:29 AM CET 2025

f=137912500Hz, peak: 12°, duration: 734s

MCIR-precip HVC MSA therm HVCT-precip NO spectrogram

NOAA 15 | Tue Jan 7 05:42:41 AM CET 2025

f=137620000Hz, peak: 10°, duration: 665s

MCIR-precip HVC MSA therm HVCT-precip NO spectrogram

NOAA 15 | Tue Jan 7 07:22:00 AM CET 2025

f=137620000Hz, peak: 49°, duration: 882s

MCIR-precip HVC MSA therm HVCT-precip NO spectrogram

NOAA 19 | Tue Jan 7 08:21:57 AM CET 2025

f=137100000Hz, peak: 15°, duration: 777s

MCIR-precip HVC MSA therm HVCT-precip NO spectrogram

NOAA 15 | Tue Jan 7 09:01:57 AM CET 2025

f=137620000Hz, peak: 38°, duration: 853s

MCIR-precip HVC MSA therm HVCT-precip NO spectrogram

NOAA 19 | Tue Jan 7 10:02:04 AM CET 2025

f=137100000Hz, peak: 66°, duration: 940s

MCIR-precip HVC MSA therm HVCT-precip NO spectrogram

NOAA 19 | Tue Jan 7 11:43:18 AM CET 2025

f=137100000Hz, peak: 32°, duration: 860s

MCIR-precip HVC MSA therm HVCT-precip NO spectrogram

NOAA 18 | Tue Jan 7 12:10:06 PM CET 2025

f=137912500Hz, peak: 55°, duration: 910s

MCIR-precip HVC MSA therm HVCT-precip NO spectrogram

NOAA 19 | Tue Jan 7 01:31:07 PM CET 2025

f=137100000Hz, peak: 11°, duration: 258s

MCIR-precip HVC MSA therm HVCT-precip NO spectrogram

NOAA 18 | Tue Jan 7 01:50:55 PM CET 2025

f=137912500Hz, peak: 17°, duration: 777s

MCIR-precip HVC MSA therm HVCT-precip NO spectrogram

NOAA 15 | Tue Jan 7 05:11:11 PM CET 2025

f=137620000Hz, peak: 37°, duration: 852s

MCIR-precip HVC MSA therm HVCT-precip NO spectrogram

NOAA 19 | Tue Jan 7 06:18:11 PM CET 2025

f=137100000Hz, peak: 17°, duration: 773s

MCIR-precip HVC MSA therm HVCT-precip NO spectrogram

NOAA 18 | Tue Jan 7 06:46:27 PM CET 2025

f=137912500Hz, peak: 11°, duration: 688s

MCIR-precip HVC MSA therm HVCT-precip NO spectrogram

NOAA 15 | Tue Jan 7 06:58:34 PM CET 2025

f=137620000Hz, peak: 51°, duration: 404s

MCIR-precip HVC MSA therm HVCT-precip NO spectrogram

NOAA 19 | Tue Jan 7 07:56:45 PM CET 2025

f=137100000Hz, peak: 58°, duration: 909s

MCIR-precip HVC MSA therm HVCT-precip NO spectrogram

NOAA 18 | Tue Jan 7 08:24:09 PM CET 2025

f=137912500Hz, peak: 33°, duration: 876s

MCIR-precip HVC MSA therm HVCT-precip NO spectrogram

NOAA 15 | Tue Jan 7 08:39:26 PM CET 2025

f=137620000Hz, peak: 10°, duration: 313s

MCIR-precip HVC MSA therm HVCT-precip NO spectrogram

NOAA 19 | Tue Jan 7 09:37:54 PM CET 2025

f=137100000Hz, peak: 33°, duration: 885s

MCIR-precip HVC MSA therm HVCT-precip NO spectrogram

NOAA 18 | Tue Jan 7 10:04:04 PM CET 2025

f=137912500Hz, peak: 65°, duration: 932s

MCIR-precip HVC MSA therm HVCT-precip NO spectrogram

NOAA 18 | Tue Jan 7 11:46:48 PM CET 2025

f=137912500Hz, peak: 15°, duration: 802s

MCIR-precip HVC MSA therm HVCT-precip NO spectrogram